Tijdelijk beurtelings verkeer op lus aan buitenkant Ring

|
|
|
|
NIEUWSBRIEF
VERNIEUWING STATIONSOMGEVING LIER
Vrijdag 31 oktober 2025 |
|
|
|
|
|
|
Laatste afwerking met beperkte verkeershinder |
|
|
|
|
|
|
De werken voor de aanleg van de ontsluitingsweg en de bretellen zijn bijna klaar. Sinds begin juli kan verkeer over de nieuwe weg van en naar het station rijden. Tot eind november voeren we de laatste afwerkingen uit. Wat staat er nog op de planning?
- Van 3 tot en met 7 november plaatsen we de grachtelementen ter hoogte van de lus aan de buitenkant van de Ring. Ter hoogte van de werfzone (ca. 50 meter) op de lus geldt beurtelings verkeer zonder verkeerslichten.
- In november planten we de bomen en struiken. Die aanplant brengt geen verkeershinder met zich mee.
|
|
|
|
|
|
|
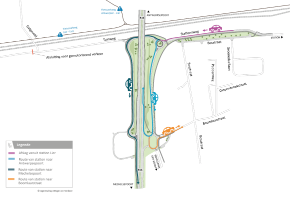
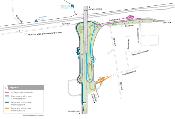
Ben je al vertrouwd met de nieuwe routes van en naar het station? |
|
|
|
|
|
|
|
|
|
|
Komende van het station. © AWV |
|
|
|
|
|
|
|
|
De toekomstige ontsluitingsweg verbindt de Ring van Lier (R16) met het station. Zo ontstaat een vlottere verbinding naar het station voor pendelaars. Tegelijk vermindert de verkeersdrukte in de wijk rond de Boomlaarstraat. Naast de ontsluitingsweg liggen brede fietspaden, zodat ook de fietser zich veilig en vlot kan verplaatsen in de stationsomgeving. Die nieuwe weg zorgt voor een veiligere en betere organisatie van het verkeer naar het station en in de woonwijk rond de Boomlaarstraat. |
|
|
|
|
|
|
|
|
| Dit is een officiële nieuwsbrief van de Vlaamse overheid. |
|
Deze e-mail werd gestuurd naar:
j*******@s*********m
Agentschap Wegen en Verkeer |
|
|
|
|
|
|
|
